Bensowinkuja | Kauniainen

Bensow

Unelmien koti ei aina löydy valmiina, joskus se rakennetaan. Tässä upea mahdollisuus toteuttaa unelma alusta asti. Tutustu myytäviin tontteihin ja pyydä Kannustalon tekemä mallitalon kustannusarvio ja hämmästy!

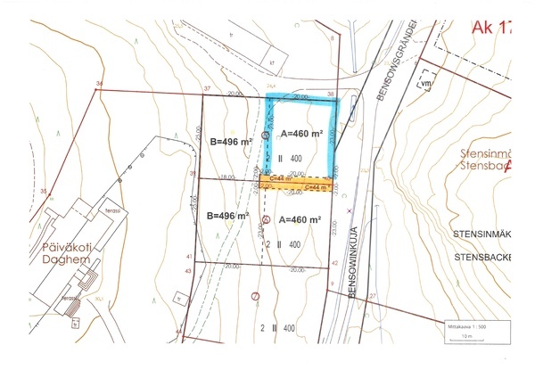
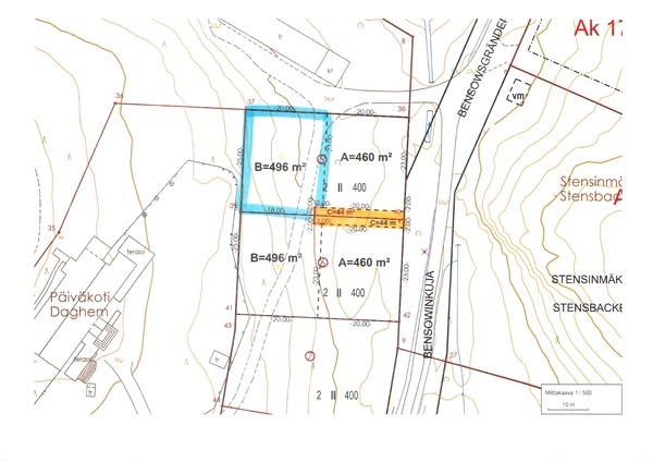
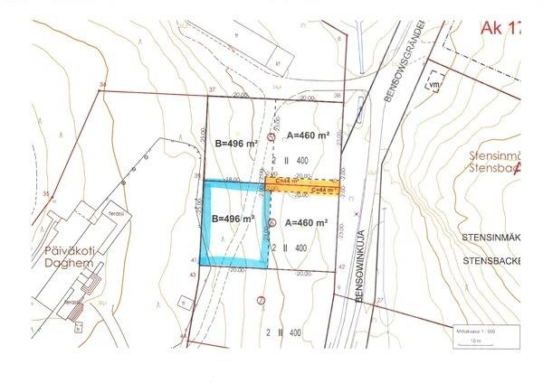
Myynnissä rakentamattomia kiinteistöjä, Bensowinkuja 5 A+B ja Bensowinkuja 6 A+B, joka myydään hallinnanjakosopimuksella erotettuna rakennuspaikkana. Mahdollisuus myös ostaa koko kiinteistö (A + B) yhteishintaan. Rakennuspaikka tarjoaa joustavuutta suunnitteluun ja antaa mahdollisuuden toteuttaa juuri sellainen koti kuin itse haluat: moderni omakotitalo, energiatehokas uudiskoti tai kompakti ensimmäinen talo.

Tartu tilaisuuteen ja aloita oman kotisi tarina tästä! Lisätietoa antaa välittäjämme Taina Friman 050 544 7445 / taina.friman@aktialkv.fi ja Fredrik Hellman 040 098 0341 / fredrik.hellman@aktialkv.fi

Pyydä mallitalon kustannusarvio!

Meillä on valmiina Kannustalon esimerkkitalo suunniteltu juuri näille tonteille. Pyydä mallitalon kustannusarvio ja hämmästy!

Jaa sivu