Timmermalmintie 13

Storlek

1 355 m²

Försäljningspris

180 000,00 €

Skuldfritt pris

180 000,00 €

Område

01680 Vantaa

Typ

egnahemshustomt

Tomtägare

oma

Rinnetontti Askistossa, rauhallista asumista Länsi-Vantaalla

Tervetuloa Askistoon, yhteen Länsi-Vantaan viihtyisimmistä ja rauhallisimmista pientaloalueista!
Nyt tarjolla upea mahdollisuus rakentaa oma koti luonnonläheiseen ja kodikkaaseen ympäristöön.

Tämä tontti sijaitsee suositulla ja arvostetulla alueella, jossa yhdistyvät maaseutumainen tunnelma ja kaupungin palveluiden läheisyys. Askisto tunnetaan vehreistä maisemistaan, väljistä tonteistaan sekä turvallisesta ja yhteisöllisestä ilmapiiristään – täällä viihdytään pitkään.

Läheltä löytyvät hyvät kulkuyhteydet pääkaupunkiseudulle, koulut ja päiväkodit sekä monipuoliset ulkoilu- ja harrastusmahdollisuudet. Luonto alkaa lähes kotiovelta, ja silti arjen sujuvuus on taattu.

Tämä tontti tarjoaa erinomaiset puitteet toteuttaa juuri sinun näköisesi koti rauhallisessa ympäristössä.

Lisätietoja myyntiesitteessä – pyydä esite välittäjältä.

Ota yhteyttä ja tule tutustumaan – tässä voi olla tulevan kotisi paikka!

Myyntiä hoitaa Tiina Lunnela 040 581 1178 tiina.lunnela@aktialkv.fi

Grunduppgifter

Typ
egnahemshustomt
Skuldfritt pris
180 000,00 €
Försäljningspris
180 000,00 €
Bostaden blir ledig
genast
Antal rum
ei luokiteltu
Energiklass
Ej lagenligt energicertifikat

Kostnader

Övriga avgifter
Ostaja maksaa tontinjakokustannukset (n. 1380,00€) sekä lohkomiskustannukset (n. 1080,00€). Kiinteistövero koko kiinteistön osalta 2025 on ollut 1594,00€.

Tomt och planläggning

Mera information om tomten
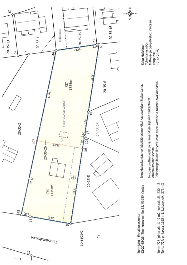
Koko kiinteistön pinta-ala on 2504. Vantaan Kaupungin ennakkolaskennan mukaan tuleva lohkotontti voisi olla noin 1355 m2.
Tomtens areal
1 355 m²
Tomtägare
oma
Tomtens typ
Rinnetontti
mera information om planläggning
Asemakaava, Asuinrakennusten korttelialue, kuhunkin rakennukseen voi sijoittaa enintään kaksi asuntoa. Rakennukset voidaan liittää toisiinsa kevyin rakennelmin.
Byggrätt
Koko tontin rakennusoikeus on 500 m2. Vantaan Kaupungin koelaskennan mukaisesti tulevan määräalan rakennusoikeus olisi 271 m2, jos tontin koko on 1355 m2. Rakennuoikeus määräalalle tarkentuu kun tiedetään molempien tonttien koot. Tämä on arvio ja tulevan määräalan lopullinen koko ja rakennusoikeuden määrä tarkistetaan Vantaan Kaupungilta määräalojen koot määritelty.

Objektets beskrivning

Tomtens areal
1 355 m²
Fastighetsbeteckning
92-20-35-26
Tomtägare
oma

Bostadsbolag

Tomtägare
oma

Service och trafikförbindelser

Tjänster
K-Supermarket Hämeenkylä, K-Supermarket Pähkinärinne, K-Market Saunakallio
Dagvård
Vantaan kaupunki - Pähkinärinne/Ryhmäperhepäivähoito, Vantaan kaupunki - Kimaran Päiväkoti, Vantaan kaupunki - Hämeenkylä Päiväkoti Ja Avoin Päiväkoti, Vantaan kaupunki - Pähkinärinteen Päiväkoti
Skola
Peruskoulut: Vantaan kaupunki - Askiston Koulu, H & S International School Oy - Hämeenkylän Koulu, Vantaan kaupunki - Hämeenkylän Koulu, Alakoulu Vantaan kaupunki - Hämeenkylän Koulu, Yläkoulu Lukiot: Vantaan kaupunki - Martinlaakson Lukio, Espoon kaupunki - Leppävaaran Lukio
Trafikförbindelser
Bussi, isojen väylien läheisyydessä omalla autolla moneen suuntaan

Kontakta mäklaren

Dela sidan

Fortsätt utforska